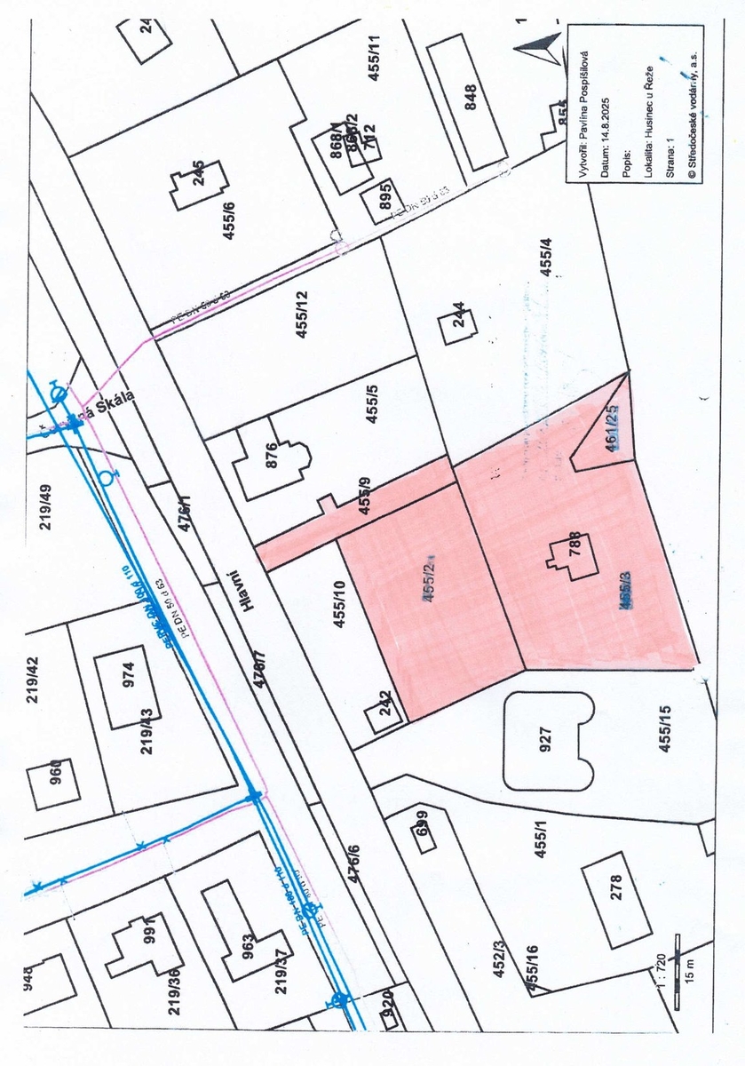
Nabízíme k prodeji soubor stavebních pozemků o celkové výměře 3223 m2 včetně příjezdové komunikace. Nacházejí se v obci Řež – Husinec ve velmi klidné lokalitě v zákrutu řeky Vltavy. Díky skvělé poloze nad řekou poskytují krásné výhledy na okolní přírodu, historické hradiště Levý Hradec a Vltavu.
Celý soubor těchto pozemků je oplocený. Na pozemku se nachází 70 m vrt na vodu. K dispozici je stavební povolení, minimální rozměrový požadavek pozemku v této lokalitě na jednu stavbu je 800 m2.
Soubor pozemků je připraven k rozdělení na tři samostatné pozemky pro výstavbu tří rodinných domů, každý se třemi bytovými jednotkami.
Souhlasná vyjádření ČEZ, vodárny Kladno-Mělník a správce ČOV jsou vydána pro napojení tří domů se třemi bytovými jednotkami pro 36 osob. Hlavní vodovodní řád a splašková kanalizace je cca 30 m od pozemku, elektřina a optický kabel jsou na pozemky přivedeny.
Autobusová zastávka je 150 m od pozemku a zajišťuje přímou dostupnost na metro C. Rychlá dostupnost do centra Prahy je zajištěna vlakovým spojem (Masarykovo nádraží cca 20 min., Praha – Dejvice cca 10 min.).
V obci je obchod potravin, drogerie, restaurace, kavárna, sportovní centrum a nechybí ani školka, škola či obvodní lékař. Obec pořádá různé sportovní a kulturní akce a nabízí řadu aktivních spolků, jako například turistický, fotbalový a další. Podél Vltavy vede cyklostezka s řadou bister a stánků.
Pokud vás naše nabídka zaujala, neváhejte se ozvat a rádi vám poskytneme další informace.
